Phản ánh, kiến nghị
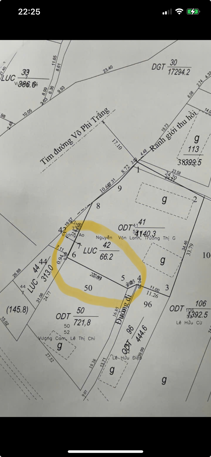
Cho toi xin hoi quy cap có tham quyen?ban đo địa chính xã Phú vang chỉnh sửa như vậy có đúng ko ạ
1/2
1
2
Lượt xem: 31
Ngày gửi: 10:39 27/10/2025
Kết quả xử lý
Trung tâm Giám sát, điều hành đô thị thông minh

Kính gửi: Quý Ông/Bà.

Vấn đề quý Ông/Bà hỏi, Trung tâm Giám sát, điều hành đô thị thông minh (IOC) xin trả lời như sau:

Qua kiểm tra câu hỏi quý Ông/Bà gửi chưa có nội dung cụ thể vấn đề cần hỏi. Quý Ông/Bà vui lòng gửi lại câu hỏi với nội dung hoàn chỉnh.

Đối với trường hợp cần cung cấp số liệu thông tin quy hoạch chính xác, kính đề nghị chủ sử dụng đất liên hệ Trung tâm phục vụ hành chính công xã Phú Vang tại địa chỉ: Số 26 Đỗ Tram, thôn Hòa Tây, xã Phú Vang, Thành Phố Huế; Số điện thoại 0234.3868452 hoặc 0385599546 để thực hiện thủ tục cung cấp thông tin quy hoạch theo quy định.

Chân thành cảm ơn câu hỏi của quý Ông/Bà.

Trân trọng!

Hạn xử lý: 27/10/2025
Ngày xử lý: 27/10/2025
Bạn đánh giá như thế nào về kết quả xử lý?
Tương tác
Nhặt một cọng rác, bạn đã làm cho Huế sạch hơn!
Hãy cùng chung tay, tương tác, bằng cách tải ứng dụng Hue-S:
Các phản ánh cùng lĩnh vực
- 27/10/2025
- 27/10/2025
- 27/10/2025
- 27/10/2025
- 27/10/2025
- 26/10/2025
- 26/10/2025
- 26/10/2025
- 26/10/2025
- 26/10/2025
Thông báo
Công khai vi phạm
Thời gian qua, trong quá trình thực tiễn triển khai phản ánh hiện trường đã xuất hiện những bất cập từ công tác xử lý. Nhằm nâng cao hiệu quả trong thời gian tới, UBND tỉnh chỉ đạo công khai các vấn đề vi phạm qua đó để tuyên truyền nâng cao nhận thức, ý thức chấp hành giao thông của người dân. Bên cạnh đó, những vi phạm đã được tiếp nhận nhưng do chưa có sự phối...
Phản ánh tiêu biểu
Trục đường Bao Mỹ gần ngã tư Bao Mỹ 5, phát hiện trụ nước chữa cháy bị...
11:39 10/01/2026
Hư ống nước cấp tại số nhà 3 kiệt 73 Trần Quý Khoáng, Hương An, TP Huế....
07:12 10/12/2025
Đường ống cấp thoát nước chỗ 78 Phạm Văn Đồng, Vỹ Dạ có nước trào lên nghi...
14:08 09/12/2025
Rò rỉ nước tại đối diện số 132 Đặng Thái Thân, đã thấy từ hơn nửa năm nay...
06:51 08/11/2025
PHẢN ÁNH ĐANG XỬ LÝ
HẠ TẦNG ĐÔ THỊ – PHẢN ÁNH VIỆC LÁT GẠCH VỈA HÈ Tôi xin phản ánh tình trạng...
16:52 13/01/2026
Bãi rác tại kiệt 25 Ngô Hà, phường Thủy Xuân nằm ngay trục đường đến trường...
15:54 13/01/2026
Đậu đỗ xe và đổ vật liệu xây dựng bừa bãi - Đậu đỗ xe thường xuyên lấn...
14:25 13/01/2026
Dân hỏi cơ quan chức năng trả lời
Giải trình ý kiến cử tri
Lấy ý kiến dự thảo văn bản pháp luật
Thống kê truy cập
Tổng truy cập: 67609592
Đang truy cập: 0
Zalo: 0941260505